Euro 2024, Spagna-Georgia 4-1: poker in rimonta e Furie Rosse ai quarti
(Adnkronos) - La Spagna batte la Georgia per 4-1 negli ottavi di finale di Euro 2024 e si qualifica per...
(Adnkronos) - La Spagna batte la Georgia per 4-1 negli ottavi di finale di Euro 2024 e si qualifica per...
(Adnkronos) - Il Rassemblement National di Marine Le Pen e Jordan Bardella punta alla maggioranza assoluta nel secondo turno delle...
(Adnkronos) - "La notizia è palesemente falsa. Il Presidente della Repubblica non ha alcuna competenza sul segreto di Stato. Il...
(Adnkronos) - Inghilterra ai quarti di finale di Euro 2024 con un miracolo. La Nazionale del ct Southgate batte la...
(Adnkronos) - Il Rassemblement National di Marine Le Pen e Jordan Bardella al 33,2% secondo i primi risultati delle elezioni...
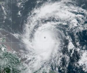
(Adnkronos) - L'urgano Beryl, il primo del 2024, aumenta di intensità e diventa di Categoria 4. Beryl, con venti che...
(Adnkronos) - Michael J. Fox, la star di 'Ritorno al futuro', ha vissuto un momento di pura magia rock n'...
(Adnkronos) - Kevin Vauquelin vince la seconda tappa del Tour de France 2024, la Cesenatico-Bologna di 200 km. Il francese...
(Adnkronos) - "Max è stato scorretto, mi ha rovinato la gara". Il pilota della McLaren Lando Norris attacca a testa...
(Adnkronos) - Si teme una serata ad alta tensione in Francia dopo il primo turno delle elezioni anticipate 2024. In...